Vente Terrain 74520, Vulbens france 254 400 €
Descriptif du bien
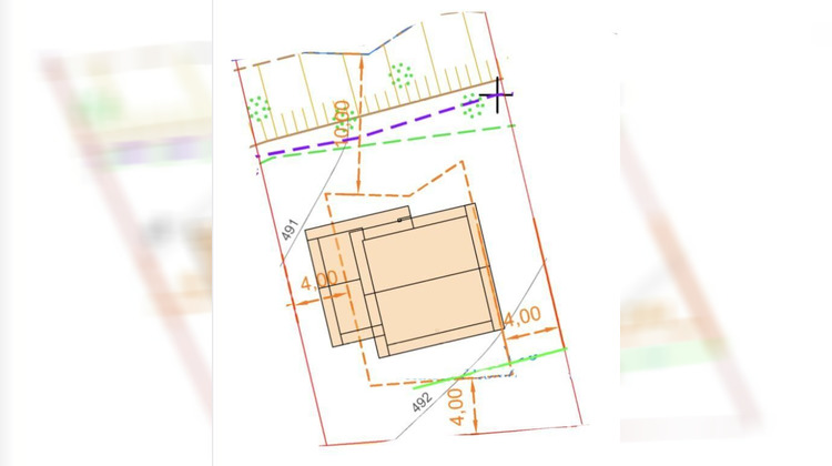
Iad France - Laetitia Marguiller (06 31 56 65 72) vous propose : SUR LA COMMUNE DE VULBENS : terrain constructible n°2 de 531 m² environ situé dans le nouveau lotissement « Le Clos des Alizées » constitué de 7 lots. Idéal pour une famille, à seulement 7 minutes de la frontière suisse. Environnement calme et recherché, à proximité des commodités à pied (commerces, écoles, crèches, collège, gare, bus TPG).
Atouts du terrain :
- CES de 0,3
- Libre constructeur : vous êtes totalement libres de choisir votre professionnel ou de réaliser votre projet en auto-construction
- Belle exposition
- Terrain piscinable
Informations à titre indicatif pour un projet de construction (prix du terrain compris):
- Maison de 90 / 100 m² environ : 450 000 / 500 000
- Maison de 130 / 140 m² environ : 600 000 / 650 000
Important : ces estimations sont approximatives et non contractuelles. Elles constituent une projection budgétaire susceptible d'évoluer selon les besoins et le projet de chaque acquéreur.
Honoraires d'agence à la charge du vendeur. Information d'affichage énergétique sur ce bien : DPE NS indice et GES NS indice. Les informations sur les risques auxquels ce bien est exposé sont disponibles sur le site Géorisques : www.georisques.gouv.fr. La présente annonce immobilière a été rédigée sous la responsabilité éditoriale de Mlle Laetitia Marguiller EI (ID 72768), mandataire indépendant en immobilier (sans détention de fonds), agent commercial de la SAS I@D France immatriculé au RSAC de THONON LES BAINS sous le numéro 752625699, titulaire de la carte de démarchage immobilier pour le compte de la société I@D France SAS. Le présent bien est commercialisé dans le cadre d'une délégation de mandat.
Retrouvez tous nos biens sur notre site internet. www.iadfrance.fr.
Informations LOI ALUR :
Honoraires charge vendeur. (gedeon_6727_32444369)
- Type de bien : Terrain
- Surface : 531 m²
- Localisation : France - Auvergne-Rhône-Alpes - Savoie (Haute)
- Ville : Vulbens
- Code postal : 74520
- Annonce créée le 15/01/2026


