Vente Terrain 08190, Vieux-Lès-Asfeld france 37 500 €
Descriptif du bien
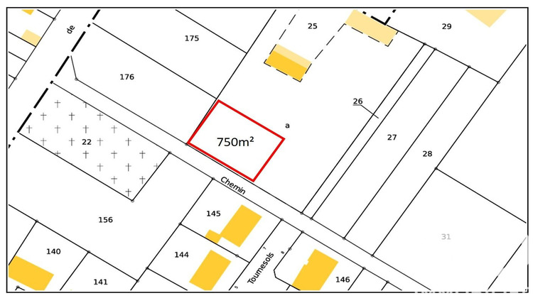
Iad France - Julien Pepe vous propose : Terrain constructible - 750 m² -
À vendre, terrain constructible non viabilisé d'une surface totale de 750 m², idéalement situé à proximité immédiate d'un lotissement existant.
- Terrain libre de constructeur
- Environnement résidentiel
- Réseaux à proximité (viabilisation à prévoir)
Le bornage sera fait à la vente donc possibilité d'acquérir plus ou moins de surface si besoin.
Une opportunité rare pour un projet de construction sur mesure.
Honoraires d'agence à la charge du vendeur.
Bien non soumis au DPE. Les informations sur les risques auxquels ce bien est exposé, y compris l'obligation légale de débroussaillement, sont disponibles sur le site Géorisques : http://www.georisques.gouv.fr.
La présente annonce immobilière a été rédigée sous la responsabilité éditoriale de M Julien Pepe mandataire indépendant en immobilier (sans détention de fonds), agent commercial de la SAS I@D France immatriculé au RSAC de SEDAN sous le numéro 949408207, titulaire de la carte de démarchage immobilier pour le compte de la société I@D France SAS.Informations LOI ALUR : Honoraires charge vendeur. (gedeon_6727_32915429)

