Vente Terrain 35770, Vern-sur-Seiche france 187 740 €
Descriptif du bien
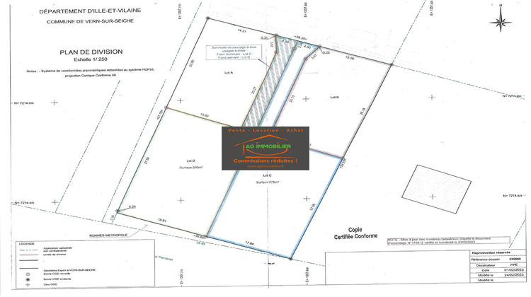
AG IMMOBILIER-COMMISSIONS REDUITES PACE : (ACHAT/VENTE) NOUVEAUTE ! ! VERN SUR SEICHE : A 900 m des commerces, en bordure d'une coulée verte entièrement aménagée, spacieux terrain constructible/à bâtir viabilisé d'une superficie de 575m² 'Libre de constructeur ' Laissez libre-cours à votre imagination pour votre futur nid douillet ! (Renseignements complémentaires à l'agence.) Honoraires d'agence réduits Prix HAI 187 740 (soit 180 000 net vendeur + 4.3% d'honoraires à la charge de l'acquéreur). AG IMMOBILIER COMMISSIONS REDUITES PACE 02.99.85.61.30 2 agences à votre service sur Rennes et Pacé Tous nos biens et + de photos sur www.agimmobilier.fr
Honoraires inclus de 4.3% TTC à la charge de l'acquéreur. Prix hors honoraires 180 000 . Les informations sur les risques auxquels ce bien est exposé sont disponibles sur le site Géorisques : georisques.gouv.fr.
- Type de bien : Terrain
- Surface : 575 m²
- Localisation : France - Bretagne - Ile et Vilaine
- Ville : Vern-sur-Seiche
- Code postal : 35770
- Annonce créée le 19/12/2025



