Vente Terrain 85800, SAINT GILLES CROIX DE VIE france 255 500 €
Descriptif du bien
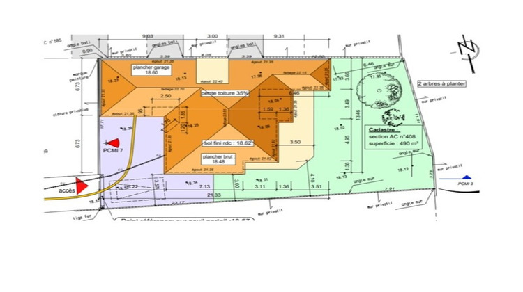
Nous vous proposons un terrain exceptionnel de 490 m² + 108m2 de chemin d'accès, idéalement situé en plein cœur du charmant quartier de la Cour Rouge à Saint-Gilles-Croix-de-Vie, en Vendée. A proximité Super U, cinéma, bibliothèque, maison médicale et la navette Gill'o Bus facilitant l'accès à la plage, puis les commerces étant proches, idéal pour faire ses courses sans voiture. Prestations incluses: Le bornage du terrain délimité avec précision. L'Étude de sol avec ses analyses complètes pour assurer la qualité et la sécurité de vos futures constructions. La Viabilisation, coffret électrique en place et antenne de tout à l'égout réalisé. Terrain clos, portail en place. Libre de constructeur, vous êtes libre de choisir le professionnel qui réalisera votre projet Tout est prêt, il ne vous reste plus qu'à concrétiser vos plans. Pour plus d'informations ou pour organiser une visite, contactez-moi! Ne manquez pas cette opportunité unique de réaliser votre projet de construction dans un cadre de vie exceptionnel à Saint-Gilles-Croix-de-Vie. Les honoraires d'agence sont à la charge de l'acquéreur, soit 3,44% TTC du prix hors honoraires. Les informations sur les risques auxquels ce bien est exposé sont disponibles sur le site Géorisques : www. georisques. gouv. fr. Réseau Immobilier CAPIFRANCE - Votre agent commercial (RSAC N°813 574 803 - Greffe de ANGERS) Philippe VIEAU Entrepreneur Individuel à Responsabilité Limitée 06 75 33 76 43 - Réf.898520
- Type de bien : Terrain
- Surface : 518 m²
- Localisation : France - pays-de-la-loire - Vendée
- Ville : SAINT GILLES CROIX DE VIE
- Code postal : 85800
- Annonce mise à jour le 17/01/2026




