Vente Terrain 56450, SAINT-ARMEL france 199 250 €
1 / 3
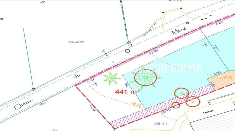
Descriptif du bien
A mi chemin du bourg de St Armel et du passage de St Armel, l'AGENCE MAISON ROUGE, propose à la vente un superbe terrain de 441m2, plat, intégralement viabilisé, borné et constructible à 100%! Idéal pour accueillir un projet de construction, pour une résidence au coeur d'un endroit calme, paisible et recherché! Produit rare, A DECOUVRIR SANS TARDER! Prix FAI : 199 250 euros dont 4.87 % honoraires TTC à la charge de l'acquéreur.


