Vente Terrain 35190, QUEBRIAC france 79 920 €
Descriptif du bien
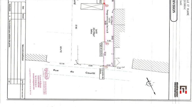
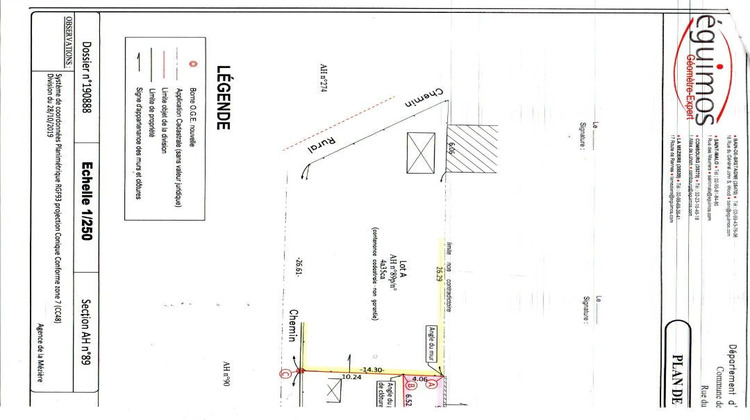
INEO HABITAT TINTENIAC SUR L'AXE RENNES/STMALO - EXCLUSIVITE AMANDA TERRAIN DE BOURG A QUEBRIAC L'agence Ineo vous propose un terrain constructible et viabilisé (eau, tout à l'égout) d'environ 435m². Viabilisation PTT, élec et eaux pluviales à prévoir. Ce terrain se situe 1 minute à pied du bourg, commodités à proximité et école primaire. 79 920 EUR* (Prix de vente) * Honoraires TTC inclus à la charge de l'acquéreur : 8% Prix du bien hors honoraires : 74 000 EUR. Contactez Servane LE LAY au 07.61.64.93.76. Les informations sur les risques auxquels ce bien est exposé sont disponibles sur le site. Géorisques : http://www.georisques.gouv.fr (8.00 % honoraires TTC à la charge de l'acquéreur.)
- Type de bien : Terrain
- Surface : 435 m²
- Localisation : France - Bretagne - Ile et Vilaine
- Ville : QUEBRIAC
- Code postal : 35190
- Annonce créée le 24/03/2026



