Mon compte
Accueil > Vente > Occitanie > hautes-pyrenees > Vente Terrain Pujo
Retour

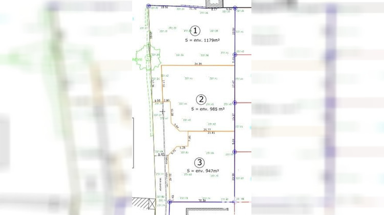
Vente Terrain Pujo, 985 m²

Vente Terrain 65500, Pujo france 45 055 €

Suivre ce bien

Descriptif du bien

Iad France - Jessica Laurent vous propose : Situé entre Vic en Bigorre et Bazet, découvrez ce terrain plat à bâtir de 985 m² ( voir sur la photo, Lot n°2), borné et viabilisé.

Raccordé à : l' eau, assainissement collectif, électricité et la fibre, prêt à accueillir votre projet de construction.

Contactez-moi pour plus d'informations et organiser une visite.

Honoraires d'agence à la charge de l'acquéreur. Prix honoraires inclus : 45055 euros. Prix hors honoraires : 42355 euros. Honoraires TTC à la charge de l'acquéreur (6,37% du prix du bien hors honoraires) : 2700 euros.
Bien non soumis au DPE. Les informations sur les risques auxquels ce bien est exposé, y compris l'obligation légale de débroussaillement, sont disponibles sur le site Géorisques : http://www.georisques.gouv.fr.
La présente annonce immobilière a été rédigée sous la responsabilité éditoriale de Mme Jessica Laurent mandataire indépendant en immobilier (sans détention de fonds), agent commercial de la SAS I@D France immatriculé au RSAC de AUCH sous le numéro 904359668, titulaire de la carte de démarchage immobilier pour le compte de la société I@D France SAS.Informations LOI ALUR : Honoraires charge acquéreur. Prix hors honoraires : 42 355 ¤. (gedeon_6727_33109759)

  • Type de bien : Terrain
  • Surface : 985 m²
  • Localisation : France - Occitanie - Hautes-Pyrénées
  • Ville : Pujo
  • Code postal : 65500
  • Annonce créée le 23/04/2026

Biens similaires

Chargement en cours...

Commentaires ou Avis

Poster un commentaire ou un avis sur ce bien. Ce commentaire sera visible sur le sur le site, n’y inscrivez pas vos données personnelles