Vente Terrain 65500, Pujo france 53 397 €
Descriptif du bien
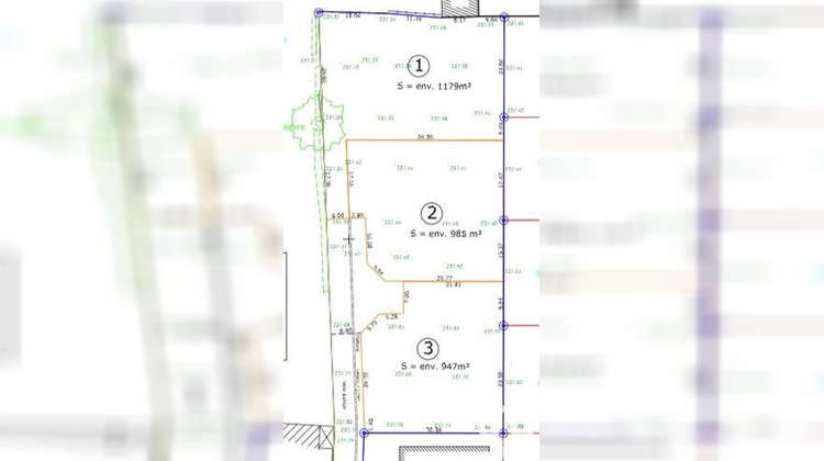
Iad France - Jessica Laurent vous propose : Situé entre Vic en Bigorre et Bazet, découvrez ce terrain à bâtir de 1179 m² ( voir sur la photo, Lot n°1), borné et viabilisé.
Raccordé à : l' eau, assainissement collectif, électricité et la fibre, prêt à accueillir votre projet de construction.
Contactez-moi pour plus d'informations et organiser une visite.
Honoraires d'agence à la charge de l'acquéreur. Prix honoraires inclus : 53397 euros. Prix hors honoraires : 50697 euros. Honoraires TTC à la charge de l'acquéreur (5,33% du prix du bien hors honoraires) : 2700 euros.
Bien non soumis au DPE. Les informations sur les risques auxquels ce bien est exposé, y compris l'obligation légale de débroussaillement, sont disponibles sur le site Géorisques : http://www.georisques.gouv.fr.
La présente annonce immobilière a été rédigée sous la responsabilité éditoriale de Mme Jessica Laurent mandataire indépendant en immobilier (sans détention de fonds), agent commercial de la SAS I@D France immatriculé au RSAC de AUCH sous le numéro 904359668, titulaire de la carte de démarchage immobilier pour le compte de la société I@D France SAS.
Informations LOI ALUR :
Honoraires charge vendeur. (gedeon_6727_31031593)
- Type de bien : Terrain
- Surface : 1179 m²
- Localisation : France - Occitanie - Hautes-Pyrénées
- Ville : Pujo
- Code postal : 65500
- Annonce créée le 16/10/2025


