Vente Terrain 50300, PONTS france 38 700 €
1 / 2
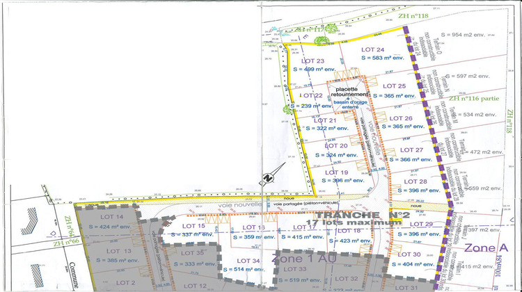
Descriptif du bien
Le cabinet FOLLIOT vous propose ce terrain à bâtir viabilisé d'environ 415m² exposé sud . Ce terrain est situé sur la commune d' Avranches à PONTS, à seulement 3 km d'Avranches. Pour plus de renseignements nous vous invitons à prendre contact avec votre cabinet FOLLIOT. Les informations sur les risques auxquels ce bien est exposé sont disponibles sur le site Géorisques : www.georisques.gouv.fr

