Vente Terrain 54530, Pagny-sur-Moselle france 450 000 €
Descriptif du bien
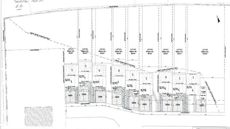
Opportunité unique à Pagny-sur-Moselle Terrain + Permis de construire pour 9 maisons
À vendre : terrain avec permis de construire validé pour la réalisation de 9 maisons individuelles à Pagny-sur-Moselle. Une opportunité idéale pour les investisseurs et promoteurs souhaitant développer un projet immobilier dans un secteur attractif !
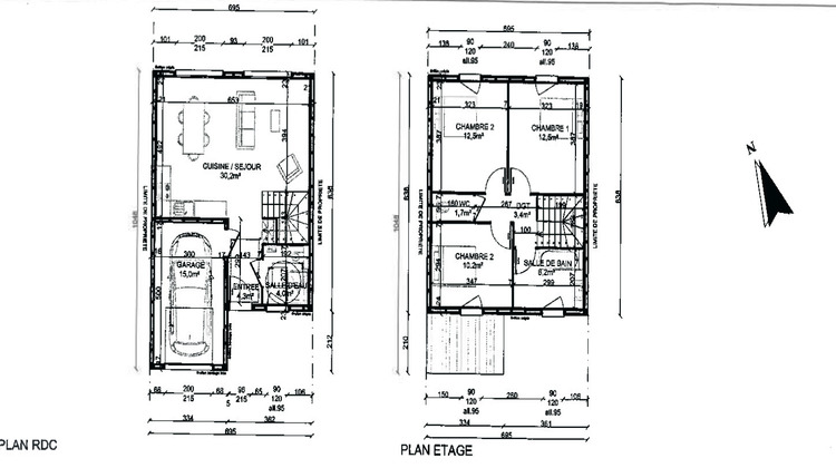
Superficies des maisons prévues :
- Lot 1 : 98,5 m2 4 chambres
- Lot 2 : 88 m2 3 chambres
- Lot 3 : 98 m2 4 chambres
- Lot 4 : 98,5 m2 4 chambres
- Lot 5 : 88 m2 3 chambres
- Lot 6 : 98,5 m2 4 chambres
- Lot 7 : 98,5 m2 4 chambres
- Lot 8 : 98,5 m2 3 chambres
- Lot 9 : 109 m2 4 chambres
Un projet idéalement situé, proche des commodités et des axes principaux, offrant un cadre de vie agréable et recherché.
prix 450 000 EUR HT
- Type de bien : Terrain
- Surface : 3647 m²
- Localisation : France - Grand Est - Meurthe et Moselle
- Ville : Pagny-sur-Moselle
- Code postal : 54530
- Annonce créée le 02/04/2025





