Vente Terrain 93130, NOISY-LE-SEC france 660 000 €
Descriptif du bien
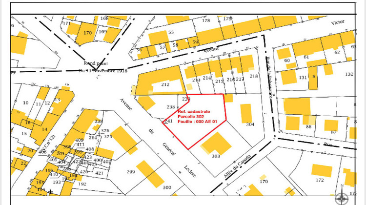
MY HOME CONSEIL IMMO vous propose à la vente un terrain "secteur Canada Américain" viabilisé rare sur le marché, d'une surface de 852 m², offrant de nombreuses possibilités pour votre futur projet immobilier, ce terrain bénéficie d'un cadre agréable et d'une excellente exposition. La parcelle se distingue par sa taille exceptionnelle, idéale pour un jardin spacieux ou même la création d'un espace extérieur modulable selon vos envies. C'est un atout rare dans la ville, permettant de profiter pleinement d'un espace extérieur tout en restant proche du centre. L'emplacement est stratégiquement idéal : Gare RER E à 8 minutes Tramway à 8 minutes, et bus à seulement 2 minutes Accès facile aux principaux axes routiers Environnement calme et résidentiel, parfait pour une vie de famille A proximité, vous trouverez une offre complète en établissements scolaires : le Lycée-Collège Olympe de Gouges, le LEP Théodore Monod, ainsi que plusieurs écoles primaires et maternelles, facilitant le quotidien des familles. Ce terrain représente une opportunité rare pour un projet immobilier dans un secteur dynamique et recherché, combinant espace extérieur, proximité des transports et services, et qualité de vie. Il n'est pas possible de réaliser une construction collective verticale sur ce terrain. Prix de vente : 660 000 euros. Pour plus d'informations ou pour organiser une visite, contactez dès maintenant MY HOME CONSEIL IMMO. Prix : 660 000 euros Cedric CHOMETON (EI) Agent Commercial - Numéro RSAC : - .
- Type de bien : Terrain
- Localisation : France - ile-de-france - Seine Saint Denis
- Ville : NOISY-LE-SEC
- Code postal : 93130
- Annonce créée le 14/04/2026






