Vente Terrain 37360, Neuillé-Pont-Pierre france 59 000 €
Descriptif du bien
À VENDRE TERRAINS CONSTRUCTIBLES VIABILISÉS 20 MIN DE TOURS
Situé à Neuillé-Pont-Pierre (37360), dans un environnement calme et agréable hors périmètre des Bâtiments de France, ce lotissement vous propose plusieurs terrains à bâtir entièrement viabilisés : raccordés à l'eau, EDF, fibre optique, téléphone et tout à l'égout.
- Terrain plat, idéal pour accueillir votre projet de construction dans un cadre de vie recherché, à seulement 20 minutes de Tours.
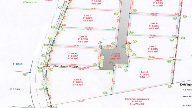
- Disponibilités :
Lot 1 : 395 m2 RÉSERVÉ
Lot 2 : 453 m2 59 000 EUR FAI
Lot 3 : 484 m2 63 000 EUR FAI
Lot 4 : 407 m2 VENDU
Lot 5 : VENDU
Lot 6 : 746 m2 94 500 EUR FAI
Lot 7 : 446 m2 58 500 EUR FAI
Lot 8 : 467 m2 VENDU
Lot 9 : 472 m2 VENDU
Nombreuses demandes en cours Ne tardez pas !
Pour visiter et vous accompagner dans votre projet, contactez : Maëva VIVIEN, conseillère immobilière indépendante SARL-U INITIAL-IMMOBILIER.COM06.36.82.75.60m.vivien@initial-immobilier.com
Les informations sur les risques auxquels ce bien est exposé sont disponibles sur le site : www.georisques.gouv.fr
Bien non soumis au DPE
- Type de bien : Terrain
- Surface : 395 m²
- Localisation : France - centre-val-de-loire - Indre et Loire
- Ville : Neuillé-Pont-Pierre
- Code postal : 37360
- Annonce mise à jour le 25/06/2025




