Vente Terrain 95640, MARINES france 136 000 €
1 / 2
Descriptif du bien
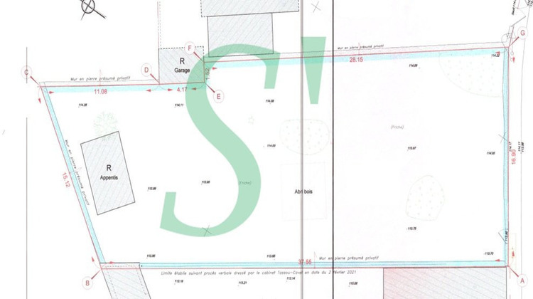
Centre ville de Marines. Terrain constructible de 631m² clos de murs en pierres, situé en Zone Ub. Non viabilisé. Façade de 16,90m. Profondeur de 37,55m.
- Type de bien : Terrain
- Localisation : France - ile-de-france - Val d'oise
- Ville : MARINES
- Code postal : 95640
- Annonce mise à jour le 13/04/2026

