Vente Terrain 53950, LOUVERNE france 61 000 €
1 / 2
Descriptif du bien
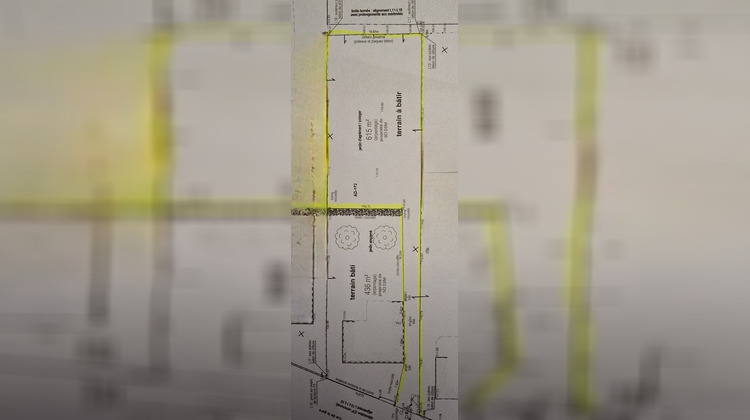
Sandra Bouglé en Exclusivité, vous propose un Terrain pour votre construction à Lourverné . Un terrain plat 615 m2, cloturé sur une partie, borné, situé au centre de Louverné , côté Laval. Les honoraires sont à la charge du vendeur. Les informations sur les risques auxquels ce bien est exposé sont disponibles sur le site Géorisques : www. georisques. gouv. fr. Réseau Immobilier CAPIFRANCE - Votre agent commercial (RSAC N°883 939 605 - Greffe de LAVAL) Marie-Danièle MILLOT Entrepreneur Individuel à Responsabilité Limitée 06 60 47 51 83 - Réf.940045
- Type de bien : Terrain
- Surface : 615 m²
- Localisation : France - pays-de-la-loire - Mayenne
- Ville : LOUVERNE
- Code postal : 53950
- Annonce créée le 21/02/2026

