Vente Terrain 28630, Le Coudray france 90 000 €
Descriptif du bien
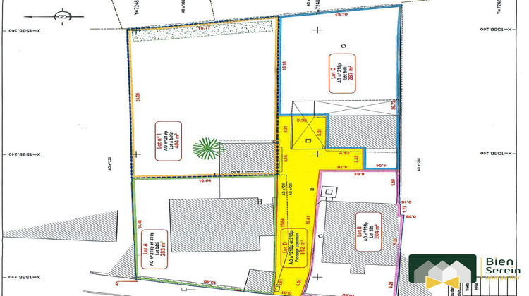
À vendre : Terrain constructible de 287 m², à viabiliser, plat et clos, situé à LE COUDRAY!
Situé sur la commune très appréciée de LE COUDRAY, ce terrain offre une excellente localisation. Il est à seulement à moins de deux km du centre ville de CHARTRES.
Pour les familles, l'école maternelle et élémentaire sont à proximité et vous trouverez également toutes les commodités au centre ville, ainsi qu'un Intermarché à 600m pour vos besoins quotidiens.
Le terrain présente une façade de 13.70m, offrant ainsi de bonnes possibilités d'aménagement pour votre projet de construction. Il est libre de constructeur, vous laissant ainsi une grande liberté dans la conception de votre futur logement.
Dans un cadre familial et très agréable, ce terrain est idéal pour réaliser votre projet de construction personnalisé.
Le plus : un garage est déjà bâti sur le terrain
Contactez votre agent au Noeud Pap' dès maintenant pour organiser une visite !
Honoraires à la charge du vendeur. Les informations sur les risques auxquels ce bien est exposé sont disponibles sur le site Géorisques : georisques.gouv.fr.
Votre conseiller Bien Serein immobilier : Morgan GOHIER
Agent commercial (Entreprise individuelle)
RSAC 910254119
- Type de bien : Terrain
- Surface : 287 m²
- Localisation : France - centre-val-de-loire - Eure et Loir
- Ville : Le Coudray
- Code postal : 28630
- Annonce créée le 12/12/2025


