Vente Terrain 44240, La Chapelle-sur-Erdre france 105 000 €
Descriptif du bien
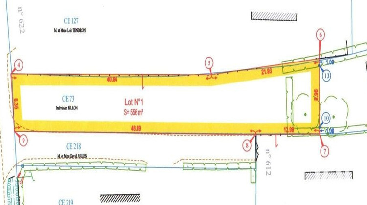
Iad France - Valentin Hameon vous propose : Venez découvrir ce terrain à bâtir, idéalement orienté sud-ouest, situé dans le secteur calme de Mouline tout en restant à proximité immédiate des commodités. À moins de 5 minutes, vous accédez facilement aux supermarchés, transports en commun, écoles et commerces de proximité, offrant un cadre de vie pratique au quotidien. Le terrain est non viabilisé, mais l'ensemble des réseaux se trouve en bordure de route, avec raccordement au tout-à-l'égout possible, facilitant votre projet de construction. Avec une façade d'environ 8,35 mètres, il conviendra parfaitement à la réalisation d'une maison optimisée et fonctionnelle. Libre de constructeur, vous pourrez donner vie au projet qui vous ressemble, en toute liberté. Honoraires d'agence à la charge du vendeur. Bien non soumis au DPE. Les informations sur les risques auxquels ce bien est exposé, y compris l'obligation légale de débroussaillement, sont disponibles sur le site Géorisques : http://www.georisques.gouv.fr.La présente annonce immobilière a été rédigée sous la responsabilité éditoriale de M Valentin Hameon mandataire indépendant en immobilier (sans détention de fonds), agent commercial de la SAS I@D France immatriculé au RSAC de SAINT NAZAIRE sous le numéro 898120092, titulaire de la carte de démarchage immobilier pour le compte de la société I@D France SAS.Informations LOI ALUR : Honoraires charge vendeur. (gedeon_6727_32788722)
- Type de bien : Terrain
- Surface : 556 m²
- Localisation : France - pays-de-la-loire - Loire Atlantique
- Ville : La Chapelle-sur-Erdre
- Code postal : 44240
- Annonce créée le 05/03/2026




