Vente Terrain 85220, L'AIGUILLON-SUR-VIE france 81 000 €
1 / 3
Descriptif du bien
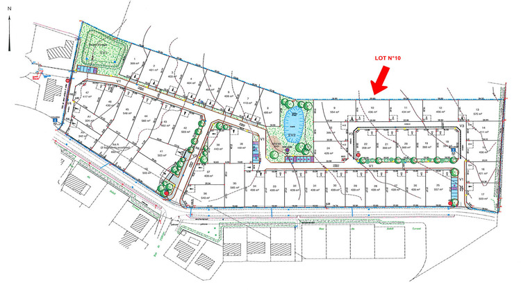
L'AGENCE L'ADRESSE SAINT-GILLES-CROIX-DE-VIE vous propose ce beau terrain constructible de 421 m², borné et viabilisé, idéalement situé. A seulement quelques minutes de Brétignolles-sur-Mer et de Saint-Gilles-Croix-de-Vie, et à deux pas du centre de L'Aiguillon-sur-Vie, ce terrain offre un cadre de vie paisible, tout en restant proche des commodités et du littoral. Parfait pour concrétiser votre projet de construction dans un environnement agréable et recherché. Renseignements et visites : AGENCE L'ADRESSE SAINT-GILLES-CROIX-DE-VIE 02 51 54 10 51
- Type de bien : Terrain
- Surface : 436 m²
- Localisation : France - pays-de-la-loire - Vendée
- Ville : L'AIGUILLON-SUR-VIE
- Code postal : 85220
- Annonce mise à jour le 27/01/2026


