Vente Terrain 45120, Châlette-sur-Loing france 59 000 €
Descriptif du bien
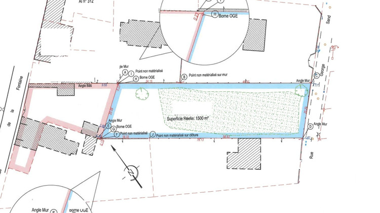
Iad France - Laurence Cabrera vous propose : Quartier Lancy, Terrain constructible de 1500 m² borné non viabilisé disposant d'une façade de 20M, réseaux en bordure de route. Dossier à votre disposition sur demande.
Honoraires d'agence à la charge du vendeur.
Bien non soumis au DPE. Les informations sur les risques auxquels ce bien est exposé, y compris l'obligation légale de débroussaillement, sont disponibles sur le site Géorisques : http://www.georisques.gouv.fr.
La présente annonce immobilière a été rédigée sous la responsabilité éditoriale de Mme Laurence Cabrera mandataire indépendant en immobilier (sans détention de fonds), agent commercial de la SAS I@D France immatriculé au RSAC de ORLEANS sous le numéro 799401419, titulaire de la carte de démarchage immobilier pour le compte de la société I@D France SAS.
Informations LOI ALUR :
Honoraires charge vendeur. (gedeon_6727_32221554)
- Type de bien : Terrain
- Surface : 1500 m²
- Localisation : France - centre-val-de-loire - Loiret
- Ville : Châlette-sur-Loing
- Code postal : 45120
- Annonce créée le 27/11/2025

