Vente Terrain 14230, Cardonville france 48 615 €
Descriptif du bien
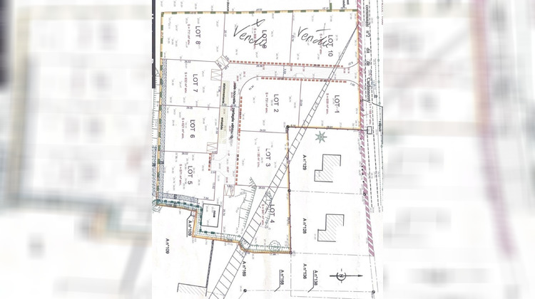
LOTISSEMENT DE CHARME EN CAMPAGNE, PROCHE MERDécouvrez ce programme de 8 parcelles de terrain viabilisées, idéalement situé dans un environnement calme et verdoyant, au prix attractif de 65 ¤ / m². P5 Un emplacement privilégié : À seulement 2 km du rond-point desservant la voie rapide 2x2 voies direction Bayeux / CaenAccès rapide : 4 minutes en voiture pour rejoindre la 2x2 voies vers Cherbourg4 minutes en voiture pour accéder à la coopérative Isigny Sainte-Mère Vie quotidienne facilitée : Écoles primaires et collège rapidement accessibles sur Isigny et OsmanvilleCommerces et services à proximité Un cadre de vie recherché : Terrains situés en pleine campagne, au calmeParcelles entièrement viabilisées (eau, électricité )Environnement paisible, idéal pour une résidence principale ou secondaireEntre terre et mer : À seulement 4 km de Grandcamp-MaisyProximité immédiate du port et du littoralÀ proximité des plages du Débarquement, secteur chargé d'histoire et très prisé Un investissement de qualité : Ces terrains offrent un fort potentiel de valorisation dans un secteur recherché, alliant accessibilité, qualité de vie et attractivité touristique. Dossier complet et visites sur demande. Opportunité rare à ne pas manquer ! Les informations sur les risques auxquels ce bien est exposé sont disponibles sur le site Géorisques : www.georisques.gouv.frPrix de vente : 48 615 ¤Honoraires charge vendeurContactez votre conseiller SAFTI : Amandine CADIOUX, Tél. : 06 12 63 60 46, E-mail : amandine.cadioux@safti.fr - EI - Agent commercial immatriculé au RSAC de CAEN sous le numéro 994073062.Informations LOI ALUR : Honoraires charge vendeur. (gedeon_26118_32920568)



