Vente Terrain 78830, Bonnelles france 125 000 €
1 / 4
Descriptif du bien
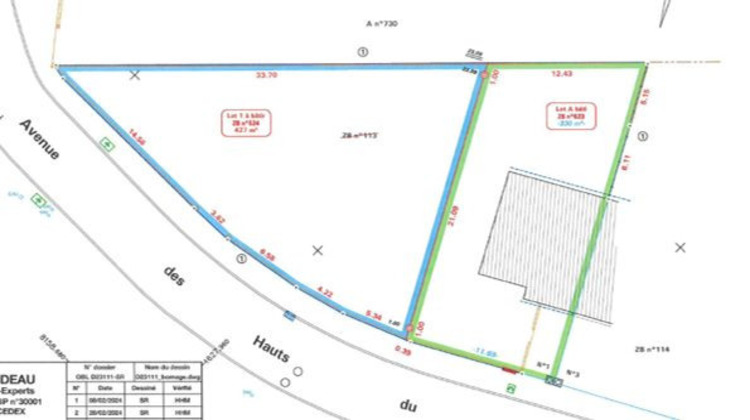
EXCLUSIVITE Briis Immo à le privilège de vous proposer ce terrain à bâtir de 427 m² idéalement situé à Bonnelles.
En Lot avant une belle façade et la possibilité de faire des ouvertures sur 3 côtés.
Situé en zone UB.
Terrain libre de constructeur à viabiliser.
Nous sommes joignables 7 jours sur 7 pour vous !
BRIIS IMMO est une agence locale et indépendante qui vous accompagnera à chaque étape de votre projet immobilier.
Nos commissions sont plafonnées à 12 000 !
Honoraires à la charge du vendeur. Les informations sur les risques auxquels ce bien est exposé sont disponibles sur le site Géorisques : georisques.gouv.fr.
- Type de bien : Terrain
- Surface : 427 m²
- Localisation : France - ile-de-france - Yvelines
- Ville : Bonnelles
- Code postal : 78830
- Annonce créée le 17/04/2026



