Vente Terrain 78830, Bonnelles france 125 000 €
1 / 4
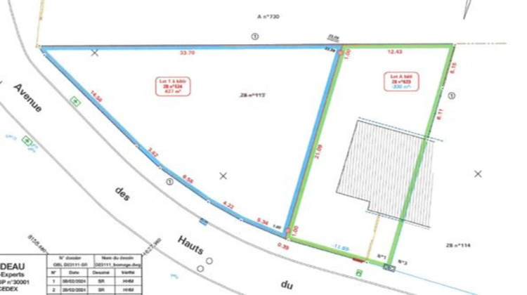
Descriptif du bien
EXCLUSIVITE Briis Immo à le privilège de vous proposer ce terrain à bâtir de 427 m² idéalement situé à Bonnelles.
En Lot avant une belle façade et la possibilité de faire des ouverture sur 3 côtés.
Situé en zone UB.
Terrain libre de constructeur à viabiliser.
Nous sommes joignables 7 jours sur 7 pour répondre à vos questions !
Honoraires à la charge du vendeur. Les informations sur les risques auxquels ce bien est exposé sont disponibles sur le site Géorisques : georisques.gouv.fr.
- Type de bien : Terrain
- Surface : 427 m²
- Localisation : France - ile-de-france - Yvelines
- Ville : Bonnelles
- Code postal : 78830
- Annonce créée le 28/11/2025



