Vente Terrain 91290, Arpajon france 149 000 €
Descriptif du bien
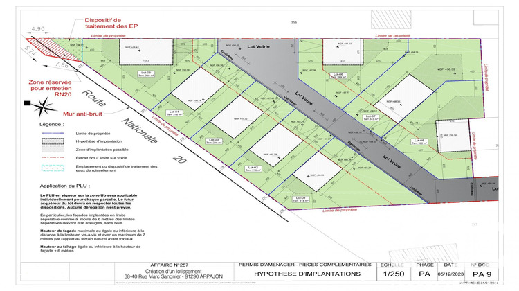
Iad France - Stéphane Jacquet-Fontaine vous propose : À Arpajon, rue Marc Sangnier, à deux pas de la gare RER C, terrain à bâtir, lot n°7, vendu viabilisé de 343 m² environ situé en zone UB du PLU, R + 1+C max, emprise au sol max de 40%. Accès N20. Commerces, Ecoles : maternelle, primaire, collège, lycée. Honoraires à la charge du vendeur.
Honoraires d'agence à la charge du vendeur.
Bien non soumis au DPE. Les informations sur les risques auxquels ce bien est exposé, y compris l'obligation légale de débroussaillement, sont disponibles sur le site Géorisques : http://www.georisques.gouv.fr.
La présente annonce immobilière a été rédigée sous la responsabilité éditoriale de M Stéphane Jacquet-Fontaine mandataire indépendant en immobilier (sans détention de fonds), agent commercial de la SAS I@D France immatriculé au RSAC de EVRY sous le numéro 753935089, titulaire de la carte de démarchage immobilier pour le compte de la société I@D France SAS.
Informations LOI ALUR :
Honoraires charge vendeur. (gedeon_6727_32594669)
- Type de bien : Terrain
- Surface : 343 m²
- Localisation : France - ile-de-france - Essonne
- Ville : Arpajon
- Code postal : 91290
- Annonce créée le 12/02/2026




