Vente Terrain 01330, Ambérieux-en-Dombes france 128 500 €
Descriptif du bien
***** Offre Acceptée********
Nouveauté Teracyté Immobilier :
Fabien DELLA GIUSTINA vous propose ce joli terrain plat et libre constructeur en coeur de village.
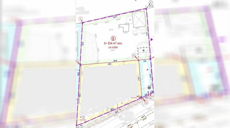
354 m² avec un petit chemin d'accès en indivision avec votre futur voisin. Idéal pour maison de plain-pied ou à étages (Coefficient d'Occupation du Sol non règlementé).
Vendu Viabilisé.
Gare TER à 10 minutes, accès A46 en 20 minutes.
SUR LA COMMUNE D'AMBERIEUX-EN-DOMBES.
Bien situé dans une zone couverte par un plan de prévention des risques naturels et technologiques.
Honoraires charge vendeur.
Non soumis au DPE.
Pour tout renseignement :
Fabien DELLA GIUSTINA, Agent commercial RSAC Bourg-en-Bresse n°417699865
06 86 71 04 85 f.dellagiustina@teracyte-immobilier.fr
CONSEILS ET ESTIMATION GRATUITS.
- Type de bien : Terrain
- Surface : 354 m²
- Localisation : France - Auvergne-Rhône-Alpes - Ain
- Ville : Ambérieux-en-Dombes
- Code postal : 01330
- Annonce créée le 19/12/2025


