Vente Local commercial 44800, Saint-Herblain france 625 000 €
Descriptif du bien
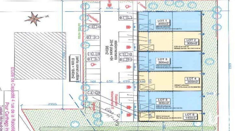
Iad France - Gaultier Henry (06 81 41 32 76) vous propose : Situé à l'Ouest de Nantes, en intra-périphérique, au sein d'un bâtiment neuf de 2025
1 cellule de 300 m² environ articulée comme suit :
- 200 m² environ au RDC
- 100 m² environ en mezzanine
Prestations :
Bardage acier double peau + isolation
Dalle béton
1 porte vitrée + vitrine
1 porte sectionnelle 3 x 4 m
Évacuation EU
Compteur d'eau + Linky
Fibre optique
2 places de stationnement privatives
Le batiment est composé de :
> 5 cellules de 300 m² environ chacune (200 m² environ au RDC et 100 m² environ à l'étage) possédant une entrée porte vitrée + porte sectionnelle + 2 stationnements (625 à 645k)
> 1 cellule de 99 m² environ au sol avec entrée porte vitrée + une entrée véhicule + 2 stationnements (230k)
> 2 espaces bureaux 40 et 58 m² environ à l'étage + 1 stationnement chacun (230k)
> 1 lot de toiture panneaux solaires (210k)
Possibilité d'ouvrir les cellules communicantes si besoin.
Possibilité d'acquérir des places de stationnement supplémentaires dans la copropriété.
Bâtiment situé en ZA et en zone UEm du Plum, me contacter pour en savoir plus sur les possibilités d'exploitation.
Idéal pour activités de production, de fabrication et de logistique, en permettant également l'installation d'activités de services avec accueil de clientèle, de commerces de détail, et de bureaux (non rattachés aux activités existantes).
Information d'affichage énergétique sur le bien associé à cette annonce : DPE NS indice 0 et GES NS indice 0. La présente annonce immobilière a été rédigée sous la responsabilité éditoriale de M. Gaultier Henry (ID 52892), Agent Commercial mandataire en immobilier immatriculé au Registre Spécial des Agents Commerciaux (RSAC) du Tribunal de Commerce de NANTES sous le numéro 892704230
Retrouvez tous nos biens sur notre site internet. www.iadfrance.fr.
Informations LOI ALUR :
Honoraires charge vendeur. (gedeon_6727_30992350)
- Type de bien : Local commercial
- Surface : 300 m²
- Localisation : France - pays-de-la-loire - Loire Atlantique
- Ville : Saint-Herblain
- Code postal : 44800
- Annonce créée le 08/05/2025





