Vente Local commercial 44840, Les Sorinières france 820 117 €
Descriptif du bien
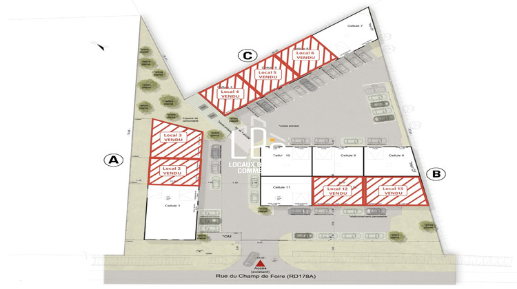
Découvrez LES GRANGES : Un Programme Immobilier Neuf pour Utilisateurs et Investisseurs Avisés
Imaginez un espace où modernité et fonctionnalité se rencontrent pour créer un cadre de vie professionnel idéal.
LES GRANGES, notre programme immobilier neuf en cours de commercialisation, est conçu pour répondre aux attentes des investisseurs les plus exigeants. Livraison prévue pour le 4ème trimestre 2026, ce programme allie standing normal et performances énergétiques grâce à une isolation en laine de roche et des ouvertures en aluminium.
Ensemble de 549 m ² traversant avec 4 portes sectionnelles, Tarif 796 230 HT FAI ( 3 % de frais d'agence inclus )
Situé dans un environnement dynamique, LES GRANGES vous offre un accès facile aux commodités essentielles. En voiture, vous rejoindrez en 10 minutes plusieurs axes routiers ( péage du bignon, périphérique Nantais, 4 voies pour Noirmoutier etc ,,, et commerces du centre des Sorinières ou Viais Les services, entreprises de la zone du Taillis et commerces de proximité, restaurants ( abbaye de villeneuve ) , sont également accessibles en quelques minutes.
Investir dans LES GRANGES, c'est choisir un bien immobilier pro qui allie rentabilité et qualité de travail. Ne manquez pas cette opportunité unique de faire un investissement locatif prometteur. Contactez-nous dès aujourd'hui pour plus d'informations et pour réserver votre futur bien.
VOIRIES BORDURES
Voiries pour VL et PL comprenant une couche anti-contaminante et fondation par matériaux de carrière, finition enrobé dosé à 150kg :M2
Marquage des places de parkings VL par bandes de peinture blanche
Logo handicapé normalisé pour emplacements aménagés
Espace ordures ménagères
LOT : PORTAILS / MENUISERIES
Porte sectionnelle électrique à commande manuelle par chaîne (4,00M X 3,50M) Panneaux isolés 40mm, teinte gris anthracite à l'extérieur Fonctionnement en contact maintenu - 1 U par cellule
Porte sectionnelle manuelle option électrique (3,00M X 3,00M) Panneaux isolés 40mm, teinte grise anthracite à l'extérieur Fonctionnement en contact maintenu - 1 U par cellule (cellules 01/02/03)
Vitrine incluant une porte d'entrée en aluminium et vitrages fixe anti-effraction 44.2. - Dimensions 220x200 1U par cellule
Fenêtre haute en aluminium avec allège vitrée de 90cm et vitrages anti-effraction 44.2 Dimensions 800x100 - 1U par cellule
Vitrine fixe et vitrages fixe anti-effraction 44.2. - Dimensions 360x100 3U par cellule (cellule 1)
LOT : ELECTRICITE
Luminaire dans dépôt
1 Projecteur LED extérieur ou encastré
TGBT
Fourreau de pénétration jusqu'au tableau
Vanne d'arrêt sur PE
LOT : MEZZANINE
Capacité de charge : 350 Kg/m² uniformément répartie
Epaisseur complexe 380 mm
Plancher aggloméré 30 mm, rainuré bouveté, classification M3, densité 640
1 escalier métallique 45°; largeur 1000 mm (utile 840 mm)
Garde-corps métalliques industriels hauteur 1100 mm (sur 2 côtés de la plate-forme)
RAL gris anthracite 7024
Agence LOCAUX BUREAUX COMMERCES 02 55 07 86 35
Leila MELLIER 06 64 33 28 10
Honoraires inclus de 3% HT à la charge de l'acquéreur. Prix hors honoraires 796 230 HT. Dans une copropriété de 13 lots. Aucune procédure n'est en cours. Non soumis au DPE. Les informations sur les risques auxquels ce bien est exposé sont disponibles sur le site Géorisques : georisques.gouv.f...
- Type de bien : Local commercial
- Surface : 549 m²
- Localisation : France - pays-de-la-loire - Loire Atlantique
- Ville : Les Sorinières
- Code postal : 44840
- Disponible le 31/12/2026
- Annonce créée le 16/01/2026





