Vente Appartement 57420, FEY france 135 000 €
Descriptif du bien
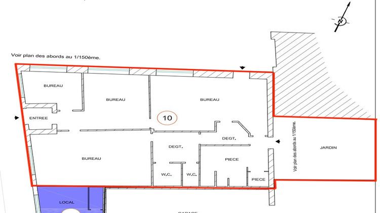
Vous recherchez un bien unique, modulable et avec un fort potentiel ? Découvrez ce superbe plateau de 133,50 m², situé dans une petite copropriété calme et bien tenue, au coeur de FEY. Actuellement aménagé en bureaux, ce bien peut très facilement redevenir un appartement spacieux et fonctionnel. Laissez libre cours à vos envies : Grande pièce de vie ouverte, cuisine avec accès direct sur le jardin, plusieurs chambres selon vos besoins, espaces de travail ou suite parentale. Belle hauteur sous plafond et volumes généreux Le tout complété par un jardin privé de 606m², idéal pour profiter des beaux jours, créer un espace détente ou un coin repas extérieur. Un bien rare, à voir absolument, parfait pour un projet d'habitation, un investissement ou une activité professionnelle. Copropriété de 10 lots - dont 8 lots habitation. (Pas de procédure en cours). Charges annuelles : 1200 euros.


