Vente Appartement 51000, Châlons-en-Champagne france 100 000 €
Descriptif du bien
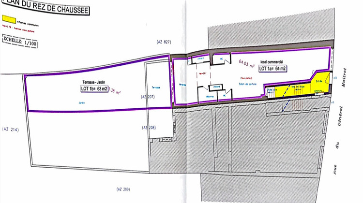
Iad France - Bastien LECHENE vous propose : Local commercial en rdc avec terrasse et jardin, aménagé en salon de coiffure, les murs sont vendus avec le locataire en place depuis de nombreuses années. Petite copropriété, faibles charges. La presente annonce immobiliere vise 2 lots situés dans une copropriété de 3 lots au total et ne faisant l'objet d'aucune procédure en cours citée à l'article L. 721-1 du code de la construction et de l'habitation. Montant moyen mensuel de charges déclaré par le vendeur : 30¤ par mois (soit 360 ¤ annuel). Honoraires d'agence à la charge du vendeur. Bien non soumis au DPE. Les informations sur les risques auxquels ce bien est exposé, y compris l'obligation légale de débroussaillement, sont disponibles sur le site Géorisques : http://www.georisques.gouv.fr.La présente annonce immobilière a été rédigée sous la responsabilité éditoriale de M Bastien LECHENE mandataire indépendant en immobilier (sans détention de fonds), agent commercial de la SAS I@D France immatriculé au RSAC de chalons en champagne sous le numéro 797869039, titulaire de la carte de démarchage immobilier pour le compte de la société I@D France SAS.Informations LOI ALUR : Soumis au régime de copropriété. Nombre de lots : 3. Quote part annuelle(moyenne) : 360 euros. Honoraires charge vendeur. (gedeon_6727_31804787)

