Location Divers 13100, Le Tholonet france
2 610 € /
Mois
charges incluses
Descriptif du bien
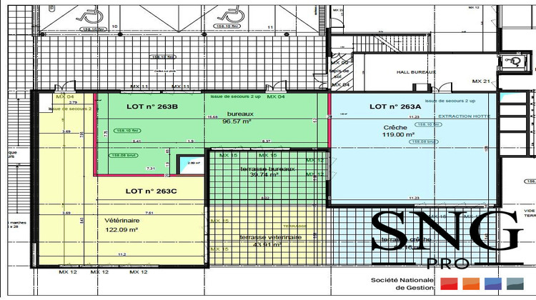
BUREAUX A LOUER AVEC VITRINE TERRASSE ET PARKINGS
SNGPRO vous propose à la location un bureau de 122m², lumineux, avec Vitrine, accès direct a une terrasse privative Climatisation, fibre, Nombreux point d'eaux, mezzanine de 12m² en plus de la surface indiquée, sanitaires privatifs et 4 places de parkings privatives.
Nombreux commerces et restaurants à toute proximité.
Contact visite : 07x86x11x38x42
A visiter !!
Honoraires de 4 668 HT à la charge du locataire. Dépôt de garantie 7 830 . DPE vierge. Les informations sur les risques auxquels ce bien est exposé sont disponibles sur le site Géorisques : georisques.gouv.fr.
Retrouvez l'annonce de l'agence immobilière SNG PRO sur : https://www.sng-immobilier.com/ref/LP430
- Type de bien : Divers
- Surface : 122 m²
- Localisation : France - provence-alpes-cote-d-azur - Bouche-du-Rhone
- Ville : Le Tholonet
- Code postal : 13100
- Disponible le 18/02/2026
- Annonce créée le 20/02/2026





