Vente Terrain 50300, PONTS france 55 500 €
1 / 2
Descriptif du bien
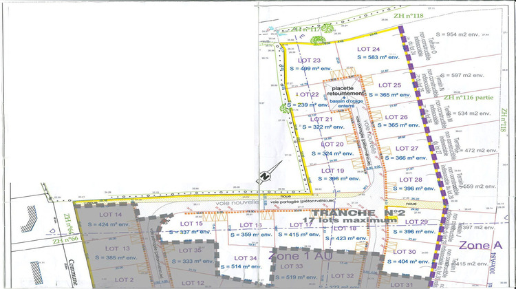
Le cabinet FOLLIOT vous propose ce terrain à bâtir viabilisé d'environ 1537m² dont environ 583m² constructible exposé sud . Ce terrain est situé sur la commune de PONTS-SOUS-AVRANCHES, à seulement 3 km d'Avranches. Pour plus de renseignements nous vous invitons à prendre contact avec votre cabinet FOLLIOT. Les informations sur les risques auxquels ce bien est exposé sont disponibles sur le site Géorisques : www.georisques.gouv.fr

